
South Seattle traffic safety advocates have been trying to piece together what happened behind the scenes to cause Seattle Parks and Recreation to quietly cancel a set of planned safety upgrades along Lake Washington Boulevard this year. The traffic calming measures, which had been announced in 2024, were the result of a long community process around the future of the park boulevard, but they were abruptly removed from the project’s website in July.
New public records obtained by The Urbanist show just how close some of those upgrades were to going into place, with a major intersection redesign set to go to construction when Mayor Bruce Harrell’s office stepped in to take it off the table. The emails and Microsoft Teams chats confirm that Parks and Seattle Department of Transportation (SDOT) staff continued to work on the upgrades for months after a December community meeting on the project, negotiating on individual elements behind the scenes while the public was kept in the dark about what was happening.

The conversations confirm prior reporting by The Urbanist and KUOW showing the direct involvement that the Mayor’s Office had in the Lake Washington Boulevard project. They show that Seattle Parks and Recreation and Seattle Department of Transportation (SDOT) staff working on the project were put in the position of negotiating over individual elements of the corridor redesign for months after a public meeting in December that the city has pointed to as a basis for its decision-making.
While direct communication from the mayor was not revealed in the records The Urbanist reviewed, Harrell’s residence is a few blocks from Seward Park and the impacted intersection.
The Mayor’s Office scheduled meetings with Parks and SDOT staff to discuss the Lake Washington Boulevard project on January 22 and February 11, with Deputy Mayor Jessyn Farrell present for at least one of those meetings. Farrell oversees both SDOT and the Parks department, a role she took over from former Deputy Mayor Adiam Emery when Emery took over as Interim SDOT Director early this year.
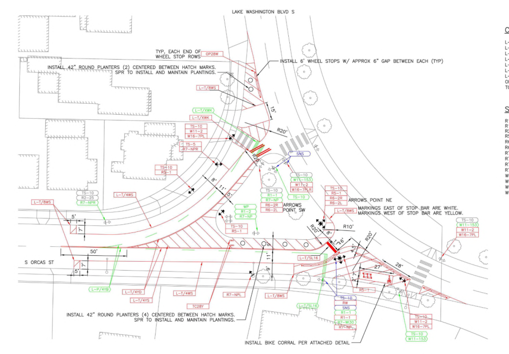
Plans to reconfigure the intersection of Lake Washington Boulevard and S Orcas Street still appeared to be moving forward in late February.
The Orcas Street redesign would have rechannelized the entire intersection, improving pedestrian crossings and redirecting traffic into a more predictable pattern, with two legs of the intersection turned into one way streets. It was one of the more ambitious elements of the corridor redesign, but in 2024 a leader within the advocacy group Coexist Lake Washington had expressed to city leaders that it had “no evident benefits.”

With the intersection changes fully designed, city staff asked superiors if the city move forward with issuing a work order for it in a late February Teams chat.
“Yes, that should work from an outreach standpoint. The only consideration is if the mayors office wants that pulled from the project, but we won’t know until march,” was the reply from Jordan Hoy, leading the Lake Washington Boulevard project for Seattle Parks. It was also Hoy who raised questions about a proposal to remove an all-way stop near Mount Baker Beach from an earlier set of changes to the corridor, a move that also seemed to go against what the Seattle Department of Transportation (SDOT) had determined was warranted at the intersection.
The work order may have been issued, but the changes never hit the ground. The Orcas Street redesign was in fact dropped from the plans.
This was apparently part of a pattern that persisted for several more months. As late as early June — weeks before announcing a scaled-back plan — Seattle Parks staff were still negotiating over individual elements to be installed this year, with Hoy writing a colleague at SDOT about a single set of new marked crosswalks at a high-use intersection.
“[I]t looks like we’re able to include the marked crossings at S Dawson St in this year’s phase of improvements, (no speed cushions though),” Hoy wrote on June 6, referencing the biggest element dropped from the project — 12 different sets of speed cushions intended to slow down drivers. In 2024, Parks had already installed around half of the speed cushions that were initially planned, after the project’s scope was expanded thanks to a state grant.
Parks department communications staff also appeared ill-equipped to explain what was driving the decision-making when it came to Lake Washington Boulevard. Despite being contacted in early July about any rationale behind dropping the speed cushions, a Seattle Parks and Recreation spokesperson did not get back to The Urbanist until late August.
“Through public engagement, we’ve heard a wide range of perspectives, including strong support for safety upgrades, how people see speed cushions effect behavior, and concerns from those who prefer fewer changes,” Parks spokesperson Karen O’Connor wrote at the time. “Our goal is to find a balanced approach that addresses safety while reflecting the community’s diverse viewpoints and user experience. Together with our partners at SDOT and listening to the community the best next step is to monitor the boulevard to inform how the installed speed cushions are working.”
Ultimately, the paper trail shows how haphazardly the decision-making was taking place, out of public view, in a way that belies any sort of deliberative process that the City is claiming it will follow moving forward for the project’s “phase 2.”

For its part, the Mayor’s Office declined to comment on the internal conversations happening within city departments over the course of this year and stood behind the city’s decision to scale back the safety upgrades.
“We’re not going to comment on Teams chat pontifications from non-Mayor’s Office employees,” Harrell spokesperson Callie Craighead wrote to The Urbanist. “As we told KUOW, as part of our Vision Zero goals to end traffic deaths and injuries, Mayor Harrell and our office are committed to improving the safety of Lake Washington Boulevard for all users. Seattle Parks and Recreation and SDOT completed robust community engagement in December 2024 at the end of Phase 1, which revealed both strong support and opposition for additional traffic calming measures.”
“In response to that community feedback and the wide range of perspectives heard, Parks and SDOT, in consultation with the Mayor’s Office, made the decision to continue to take a phased approach to the traffic calming improvements on Lake Washington Boulevard – balancing safety measures with the diverse feedback and different priorities we heard from the community,” Craighead continued. “As part of Phase 2, SDOT will be collecting new data, which will be used to inform next steps and further safety improvements.”
That Phase 2 might look very different than how the current Mayor’s Office envisions it, as Harrell faces a formidable challenge in next month’s election from Transit Riders Union founder Katie Wilson. As the most high-profile example of the Harrell Administration directly intervening with a city department to scale back traffic safety upgrades anywhere in the city, the deliberation behind Lake Washington Boulevard does offer a preview of how future projects might also shake out, if Harrell is reelected.
Ryan Packer has been writing for The Urbanist since 2015, and currently reports full-time as Contributing Editor. Their beats are transportation, land use, public space, traffic safety, and obscure community meetings. Packer has also reported for other regional outlets including BikePortland, Seattle Met, and PubliCola. They live in the Capitol Hill neighborhood of Seattle.


