After years of construction and reroutes for people using all modes, the replacement for the Fairview Avenue N is finally about to open. The new seismically sound bridge replaces the only timber bridge that was part of an arterial street in the entire city. On Sunday, July 25th, the new bridge will open to vehicle traffic, eliminating the detour via Aloha Street to Eastlake Avenue that people biking, walking, driving, or riding the Route 70 bus have had to take since 2019. Before that though, on Saturday, July 24th, the Seattle Department of Transportation (SDOT) is holding an opening ceremony where people outside of motor vehicles can check out the bridge for two hours, from 9:30am to 11:30am. Update: King County Metro has also announced that the Route 70 will start using the old Fairview route starting at noon on Saturday. Additional update: SDOT tells us that’s not quite right, and that buses will start to use the bridge as late as Sunday, but possibly before.

These two hours may be the only opportunity anytime soon to experience the Fairview Bridge completely free of cars, but the new bridge will be a big improvement for people walking and rolling 24/7. The old Fairview bridge didn’t have any bike lanes, though one of the southbound traffic lanes had been converted to a path as an alternative to the only sidewalk along the east side of the bridge behind a barricade. It was a pretty unpleasant place to be.

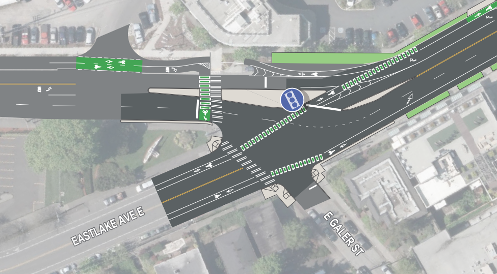
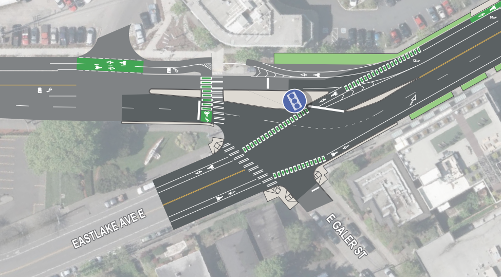
The new bridge features a two-way protected bike lane instead of a shared path, with a wider sidewalk on the east side and a new eight-foot sidewalk on the Lake Union side featuring a bulb-out to allow people along the sidewalk to step off and enjoy the views.

In terms of connectivity to the wider bike network, that two-way bike lane will eventually sync up with one-way protected bike lanes on Eastlake Ave north of Fairview, but not until 2026 on the current construction timeline for the RapidRide J Line, significantly delayed by problems securing federal grants for that project and a lack of prioritization of expansion of the overall transit corridor program by the Durkan administration. To the south, protected bike lanes along Eastlake Avenue south of Fairview are expected to be in place all the way down to John Street at REI in coordination with the installation of a new King County Metro bus layover facility along Eastlake.

The only alternative to biking on Eastlake is the Cheshiahud Loop, loosely defined as a trail on the east side of the lake. In most spots, it’s just a regular street, mostly missing sidewalks with parking jammed into every available spot. But it is a lower-traffic alternative to the intensity of Eastlake. The other drawback to the Loop is some steep grades that connect between segments along the entire route between the University Bridge and the area around the Fairview bridge.

To the south, people on bikes will have to wait until 2026 for a connection to Lake Union Park and the Westlake Cycle Track. There’s also a paint-only bike lane on Valley Street that the two-way protected bike lane will meet. Again, this is five years away; in the meantime people biking can use the traffic lane or the sidewalk. The brand new bike lane on the bridge is going to be a stranded facility for a long time if adjacent improvements aren’t prioritized more. This is probably the most bittersweet part of this new bridge’s grand opening: people driving have a fully connected network on either side of it, but people biking do not. Seattle is making small strides in improving the gaps in the city’s bike network, but we have so much further to go.



