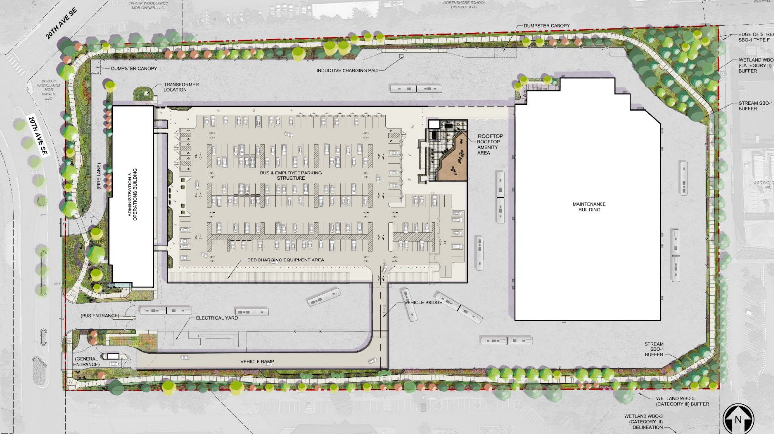
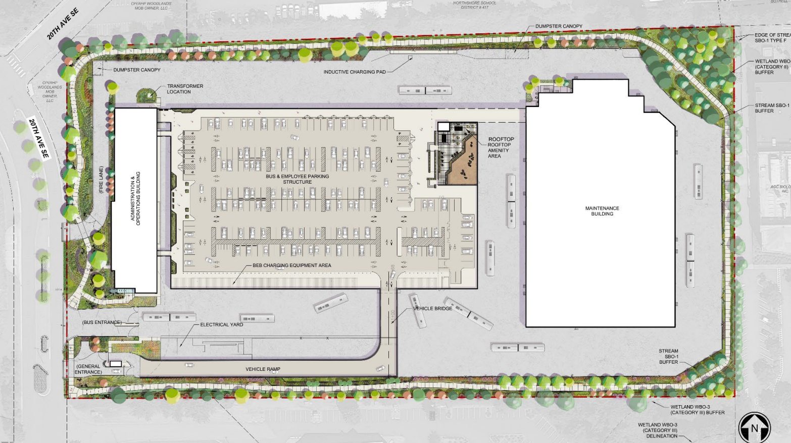
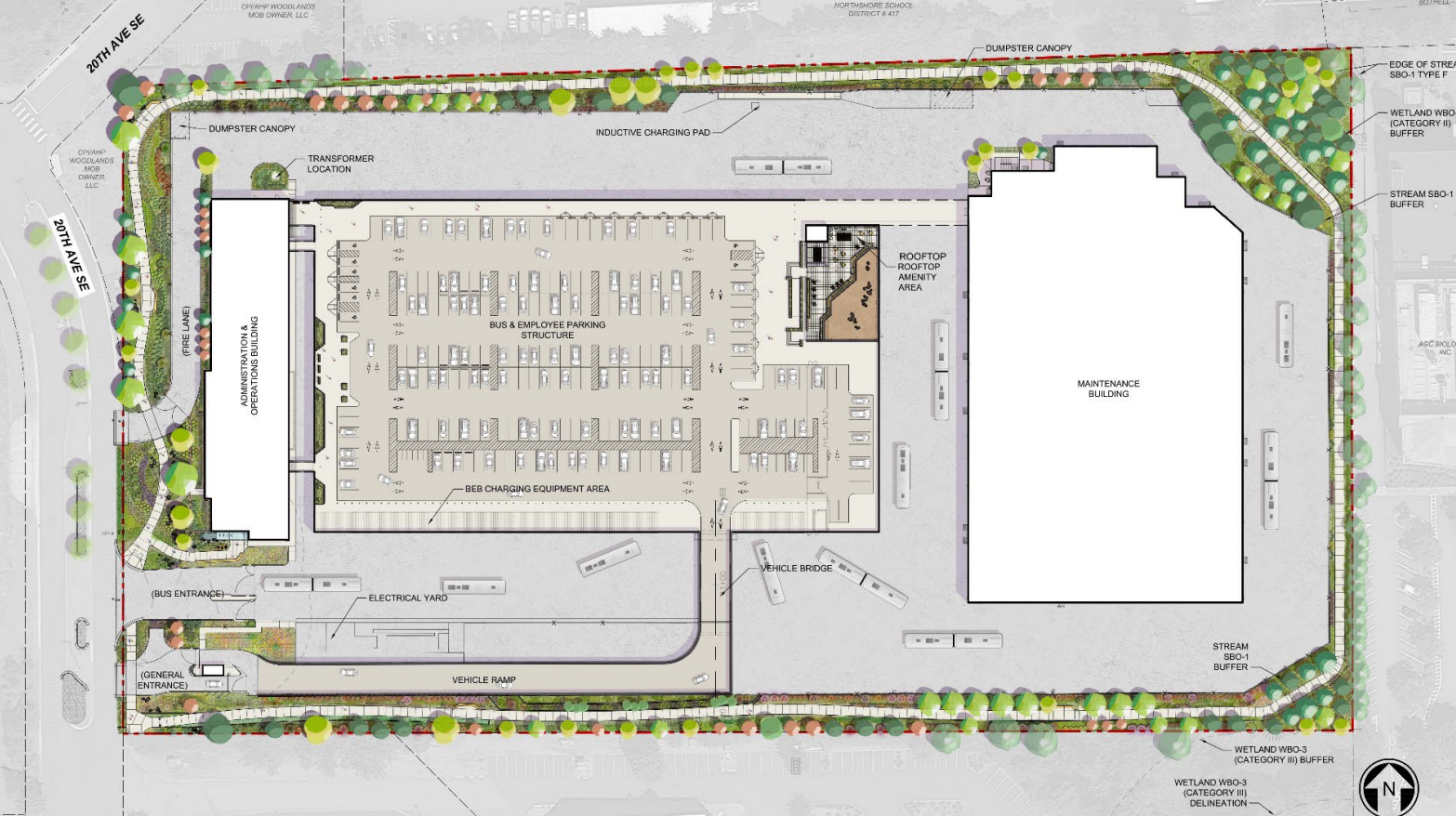
The Sound Transit board of directors approved a $274 million construction contract last week to build a new bus base in Bothell’s Canyon Park neighborhood, close to I-405 and State Route 527. Designed to accommodate up to 120 double decker and articulated buses, the move represents a major step forward for the Sound Transit Stride bus rapid transit (BRT) network approved by voters as part of the 2016 Sound Transit 3 (ST3) ballot measure.
When fully active, the Stride system will include three separate lines, connecting Lynnwood to Bellevue, Shoreline to Bothell, and Bellevue to Burien via express bus service that almost completely operates on separated highways. Like other elements of Sound Transit’s network buildout, Stride has suffered significant delays and cost overruns, with an initial 2024 opening date for all three lines now pushed to a staggered opening between 2028 and 2029. When it’s up and running, the Stride network will provide 10-minute bus service during peak hours, dropping to 15-minute frequencies off-peak.
“Today’s Board action will move us one step closer to fast and frequent transit for riders on heavily congested corridors as we continue to expand multiple transit options across the Central Puget Sound,” Snohomish County Executive and Sound Transit Board Chair Dave Somers said in a release after the final vote. “Board members and the residents that they represent understand that advancing construction on Bus Base North is a key milestone for Stride and ST3.”

Building a bus base on this 12.5-acre site in Canyon Park, which was found to be the best spot among the more than 30 locations assessed for a potential Stride base, almost hit a snag in 2021. Designated a regional growth center by the Puget Sound Regional Council, Canyon Park has requirements in place for how robust new development has to be, explicitly prohibiting low-density development in an area intended for additional growth. But Sound Transit’s bus base didn’t meet those density requirements. The solution? Bothell and Sound Transit agreed that the underutilized capacity would be allocated elsewhere via a Transfer of Development Rights (TDR) program, allowing the bus base to move forward while Canyon Park remains designated a regional growth center.
In addition to providing space for bus storage, the new Bothell bus base will include an operations center, a vehicle maintenance facility, and a 255-vehicle employee parking lot. The base will be also built to accommodate charging infrastructure for the all-electric Stride fleet: double-decker buses on the S1 and S2 lines, and 60-foot articulated coaches on the S3 line.

The forthcoming order of 33 double-decker buses, manufactured by Alexander Dennis, will be similar to the existing double-deckers in service on ST Express bus routes in Snohomish County but with inductive wireless charging technology. Such tech will allow buses to charge at six different locations along the Stride network, rather than having to return to Bothell for every charge.
But Sound Transit’s purchase of 14 articulated coaches for the S3 line, via manufacturer BYD, has raised concerns around potential maintenance issues with a type of bus that has seen significant problems when deployed elsewhere in the US.
The contract includes a 20% contingency — nearly $46 million — an amount that is “commensurate with market uncertainty of building materials, including impacts of potential tariffs,” per a Sound Transit staff report.

In addition to inking the bus base contract, Sound Transit is heading toward approving a contract to build the Stride transit center in South Renton, along with a contract for roadway redesign and bus station construction in Bothell and Kenmore. Meanwhile, construction is well underway for the portions of the Stride network managed by the Washington State Department of Transportation, including stations at NE 44th Street near Newcastle, NE 85th Street and Brickyard in Kirkland, and Canyon Park in Bothell.
One of the most important Stride stations in South King County, the Renton bus station was almost delayed by an eleventh-hour push by the City of Renton to utilize land containing a vacant hotel owned by King County instead, a move that ultimately wasn’t successful.
Meanwhile in Lake Forest Park, design work and property acquisition has progressed more slowly against a backdrop of community opposition to the highway widening needed to create dedicated space for Stride buses, with reallocation of existing lanes a political non-starter. Transit advocates recently rallied along Bothell Way in support of the project, attracting counter-protesters who want to see the project redesigned.
With the bus base finally headed toward construction, the Stride system is picking up momentum.




